Öffentliche Auslegung zum Vorentwurf des Bebauungsplanes Nr. 103 „Sondergebiet PV Freiflächenanlage an der Kiesgrube Bonnewitz“ der Stadt Pirna
Der Vorentwurf in der Fassung vom 15.01.2026 wird nun gemäß § 3 Abs. 1 BauGB der Öffentlichkeit vorgestellt, um Gelegenheit zur Äußerung und Erörterung der Planung zu geben.
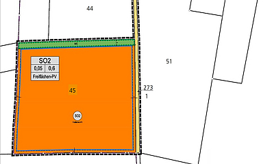
Der räumliche Geltungsbereich umfasst die Flurstücke 45, 53/1 und 273/1 der Gemarkung Bonnewitz. Die Gesamtfläche des Plangebietes beträgt ca. 2,7 ha und wird wie folgt begrenzt:
im Norden durch die Bonnewitzer Straße K 8713,
im Westen durch das Betriebsgelände der Landesanstalt für Forsten
im Osten durch die Kiesgrube Bonnewitz
im Süden durch landwirtschaftlich genutzte Flächen
Die Lage des Plangebietes ist der nachfolgenden Planzeichnung zu entnehmen:


Gegenstand der Planung ist die Errichtung einer Photovoltaikfreiflächenanlage mit einer Gesamtleistung von 3,2 MWp auf bislang landwirtschaftlich genutzten Flächen neben der Kiesgrube Bonnewitz. Mit dem Bebauungsplan soll das hierfür erforderliche Baurecht geschaffen werden.
Zu den Planunterlagen des Vorentwurfes gehören die Planzeichnung, die textlichen Festsetzungen, die Begründung mit Grünordnungsplan, Anlagen zur Begründung und dem Umweltbericht.
Zum Zweck der frühzeitigen Unterrichtung der Öffentlichkeit werden die Unterlagen zum Vorentwurf des Bebauungsplans entsprechend § 3 Abs. 1 BauGB über die Webseite der Stadt Pirna, sowie über das zentrale Landesportal des Freistaates Sachsen zur Bauleitplanung veröffentlicht. Außerdem werden die Unterlagen öffentlich ausgelegt.
Während der Beteiligungsfrist kann jede Person Stellungnahmen abgeben; Kinder und Jugendliche sind ausdrücklich Teil der Öffentlichkeit im Sinne des § 3 BauGB.
Es wird darauf hingewiesen, dass Stellungnahmen vorrangig elektronisch übermittelt werden sollen (z. B. per E-Mail an stadtentwicklung@pirna.de, über das Geoportal der Stadt Pirna oder über das Landesportal Bauleitplanung). Bei Bedarf können Stellungnahmen auch auf anderem Wege eingereicht werden.
Stellungnahmen, die nicht innerhalb der Auslegungsfrist eingehen, können gemäß §4a Abs. 5 BauGB bei der späteren Beschlussfassung unberücksichtigt bleiben.
Die Öffentlichkeitsbeteiligung erfolgt vom 16.03.2026 bis einschließlich 24.04.2026.
Der Inhalt der ortsüblichen Bekanntmachung und die Planunterlagen werden den beteiligten Behörden sowie der Öffentlichkeit wie folgt zugänglich gemacht:
Internetauftritt der Stadt Pirna: www.pirna.de (hier nur Text der Bekanntmachung)
Stadtinfo → Aktuelles → Bekanntmachung → Bekanntmachung nach dem BaugesetzbuchGeoportal der Stadt Pirna: gis.pirna.de
B-Pläne → Planname auswählen → der blaue Button führt zu den Dokumenten
Bei Bedarf können alle dort befindlichen Daten gespeichert und gedruckt werden und bleiben damit verfügbar.- Landesportal Bauleitplanung Sachsen: www.bauleitplanung.sachsen.de
Alle Bauleitpläne → Behörde, Ort → Pirna
Öffentliche Auslegung im Foyer des Rathauses (Bereich Bürgerbüro), Am Markt 1/2, zu folgenden Dienstzeiten:
Mo. 8:00 – 13:00 Uhr
Di. 8:00 – 18:00 Uhr
Mi. 8:00 – 13:00 Uhr
Do. 8:00 – 18:00 Uhr
Fr. 8:00 – 12:00 Uhr
Parallel zur frühzeitigen Öffentlichkeitsbeteiligung erfolgt die Beteiligung der Träger öffentlicher Belange sowie der Nachbargemeinden gemäß § 4 Abs. 1 BauGB.
Eine Mitteilung über das Abwägungsergebnis kann nur zu Stellungnahmen erfolgen, denen eine lesbare Anschrift beigefügt ist. Die verbindliche Mitteilung erfolgt nach dem Abwägungs- und Satzungsbeschluss des Stadtrates.
Tim Lochner
Oberbürgermeister

